Super Typhoon Fung-wong Hits Luzon: What You Need to Know 🌪️
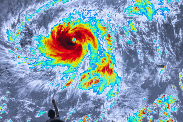
Super Typhoon Fung-wong, the 21st cyclone this year, made landfall in Aurora, Luzon. Get the latest on impact and safety tips.
News That Embraces Insight and Understanding
Super Typhoon Fung-wong, the 21st cyclone this year, made landfall in Aurora, Luzon. Get the latest on impact and safety tips.
As Typhoon Fung-wong nears the Philippines with winds up to 170 kph, authorities suspend rescue ops and order evacuations to brace for heavy rain and flooding.